Dante Street, Victorville

$600,000

Previous Next

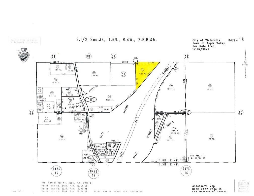
5.85

Acres

About Dante Street

Welcome to an exceptional opportunity in the heart of Victorville's burgeoning Desert Gateway Specific Plan. This prime 5.85-acre parcel, designated for medium density multifamily development, promises an ideal canvas for the construction of apartments or condominiums, perfectly suited to meet the growing demand for new housing units in the area. Situated adjacent to the thriving Northgate Village apartments, this property benefits from its strategic location within a well-established multifamily residential area. The infrastructure advantage is clear: water, electric, and gas services are readily extendable to the site, streamlining the development process and reducing initial investment costs. The Desert Gateway Specific Plan itself is designed to foster a vibrant community, blending commercial and residential elements to promote a transit-oriented lifestyle. This forward-thinking approach aligns perfectly with the anticipated development of the High Desert Corridor, set to be a pivotal transportation route terminating or beginning in this very area. Additionally, proximity to the proposed Brightline high-speed rail service connecting Apple Valley, CA, to Las Vegas, NV, positions this property as an exceptional investment opportunity for developers seeking to capitalize on future connectivity and growth. Whether you're considering the development of apartments or condominiums, this parcel offers a rare chance to contribute to the expansion of Victorville's housing stock, meeting the increasing demand for modern living spaces in a dynamic, forward-looking community. Don't miss out on the chance to shape the future of housing in Victorville—schedule your visit today and envision the possibilities this multifamily land has to offer.

Features of Dante Street

MLS® # HD24139098
Price $600,000
Bathrooms 0.00
Acres 5.85
Type Land
Status Active

Community Information

Address Dante Street
Area VIC - Victorville
City Victorville
County San Bernardino
Zip Code 92394

Amenities

View Desert, Mountain(s)
Is Waterfront No
Has Pool No

Interior

Has Basement No
Fireplace No

Exterior

Lot Description ElevenToFifteenUnitsAcre, TwentySixToThirtyUnitsAcre

Additional Information

Date Listed July 8th, 2024
Days on Market 463
Zoning R-3
Foreclosure No
Short Sale No
RE / Bank Owned No

Listing Details

AgentJoseph Hisquierdo
OfficeLee & Associates

Listing Map

Request a Showing

Provide a valid email address.
When would you like to view this property?