Palmdale Road, Adelanto

$410,000

Previous Next

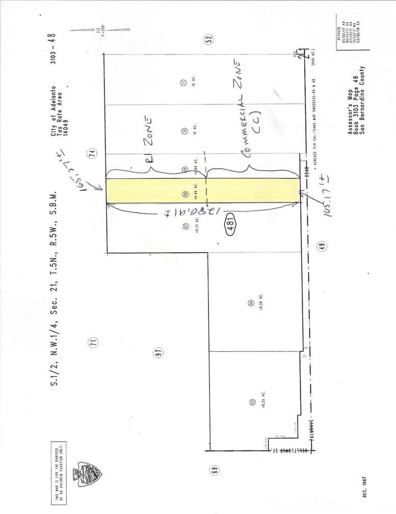
4.86

Acres

About Palmdale Road

Split zone. R1 rear and Commercial (C) in front. Approx 165' on Palmdale Road. Rear has frontage on Begonia Road. Level+- topography. Westerly property is approximately 1,600 feet east of Bellflower Street on north side of Palmdale Road. If going in from Begonia Road, westerly property line is approximately 350 feet from easterly line of Delicious Street. Very few Joshua trees on property. Ample room for development without disturbing Joshua trees. Seller will consider holding paper with 50% down.

Features of Palmdale Road

MLS® # HD24170031
Price $410,000
Bathrooms 0.00
Acres 4.86
Type Land
Status Active

Community Information

Address Palmdale Road
Area ADL - Adelanto
City Adelanto
County San Bernardino
Zip Code 92301

Amenities

Utilities Electricity Available, Natural Gas Available, Phone Available, Sewer Available, Water Available
View None
Is Waterfront No
Has Pool No

Interior

Has Basement No
Fireplace No

Exterior

Lot Description Level, Paved, Rectangular Lot

Additional Information

Date Listed August 16th, 2024
Days on Market 432
Zoning R1 & C
Foreclosure No
Short Sale No
RE / Bank Owned No

Listing Details

AgentWilliam Swift
OfficeWiest Realty

Listing Map

Request a Showing

Provide a valid email address.
When would you like to view this property?