Helendale Road, Adelanto

$55,000

Previous Next

8.60

Acres

About Helendale Road

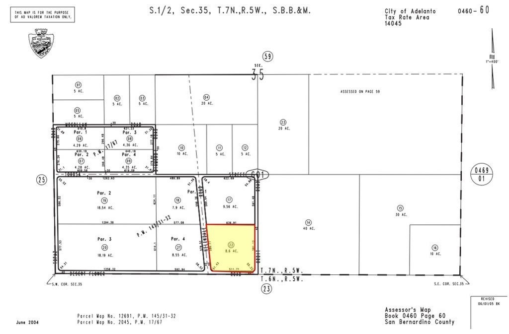
±8.6 acres of unimproved residential land at the corner of Desert Flower and Helendale Rd in Adelanto; APN: 0460-601-22. Zoned Desert Living (DL-9) this lot permits for the development of 1 dwelling unit per 9 acres. This location is also within a Qualified Opportunity Zone and eligible for potential tax benefits. This site abuts the Southern California Logistics Airport. The Airport recently completed approximately 4MM square ft of expansion and is now home to major global leaders of industry such as Amazon, Boeing, GE Aviation, Kuerig Dr. Pepper, M&M/Mars, Newell Rubbermaid, and more. As an extension of the Inland Empire, the High Desert continues to grow with millions of square feet of planned industrial and tens of thousands of housing units under construction. Buyer to verify all information contained herein. Agent and their representatives are not responsible for the accuracy of these claims.

Features of Helendale Road

MLS® # HD24200401
Price $55,000
Bathrooms 0.00
Acres 8.60
Type Land
Status Active

Community Information

Address Helendale Road
Area ADL - Adelanto
City Adelanto
County San Bernardino
Zip Code 92301

Amenities

View Desert
Is Waterfront No
Has Pool No

Interior

Has Basement No
Fireplace No

Exterior

Lot Description No Landscaping

Additional Information

Date Listed September 25th, 2024
Days on Market 394
Zoning DL-9
Foreclosure No
Short Sale No
RE / Bank Owned No

Listing Details

AgentMehdi Mostaedi
OfficeNAI Capital, Inc.

Listing Map

Request a Showing

Provide a valid email address.
When would you like to view this property?