About Roundtree Lane
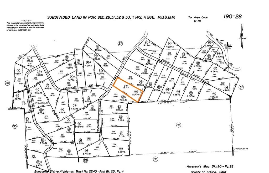
5-acre parcel in Squaw Valley featuring road frontage, gently rolling terrain with open clearings, and easements for electricity and telephone. Ideal for a custom home or private getaway with panoramic mountain and valley views. Peaceful setting off Round Tree Ln with easy access. Use Google Earth to explore the beautiful surrounding landscape and topography. Close to Kings Canyon/Sequoia National Parks, outdoor recreation, and just 45 minutes to Fresno. Also offered with adjacent 4.92-acre parcel (APN 190-280-75) for a total of 9.92 acres. Buyer to verify zoning, utilities, and access.
Features of Roundtree Lane
| MLS® # | SB25129852 | 
|---|---|
| Price | $25,000 | 
| Bathrooms | 0.00 | 
| Acres | 5.00 | 
| Type | Land | 
| Status | Active | 
Community Information
| Address | Roundtree Lane | 
|---|---|
| Area | 699 - Not Defined | 
| City | Squaw Valley | 
| County | Fresno | 
| Zip Code | 93675 | 
Amenities
| Utilities | None, Sewer Not Available | 
|---|---|
| View | Hills, Mountain(s), Panoramic | 
| Is Waterfront | No | 
| Has Pool | No | 
Interior
| Has Basement | No | 
|---|---|
| Fireplace | No | 
Exterior
| Lot Description | Lot Over 40000 Sqft | 
|---|
Additional Information
| Date Listed | June 3rd, 2025 | 
|---|---|
| Days on Market | 144 | 
| Zoning | AE5/RR | 
| Foreclosure | No | 
| Short Sale | No | 
| RE / Bank Owned | No | 
Listing Details
| Agent | Adela Randazzo | 
|---|---|
| Office | Keller Williams Realty | 
