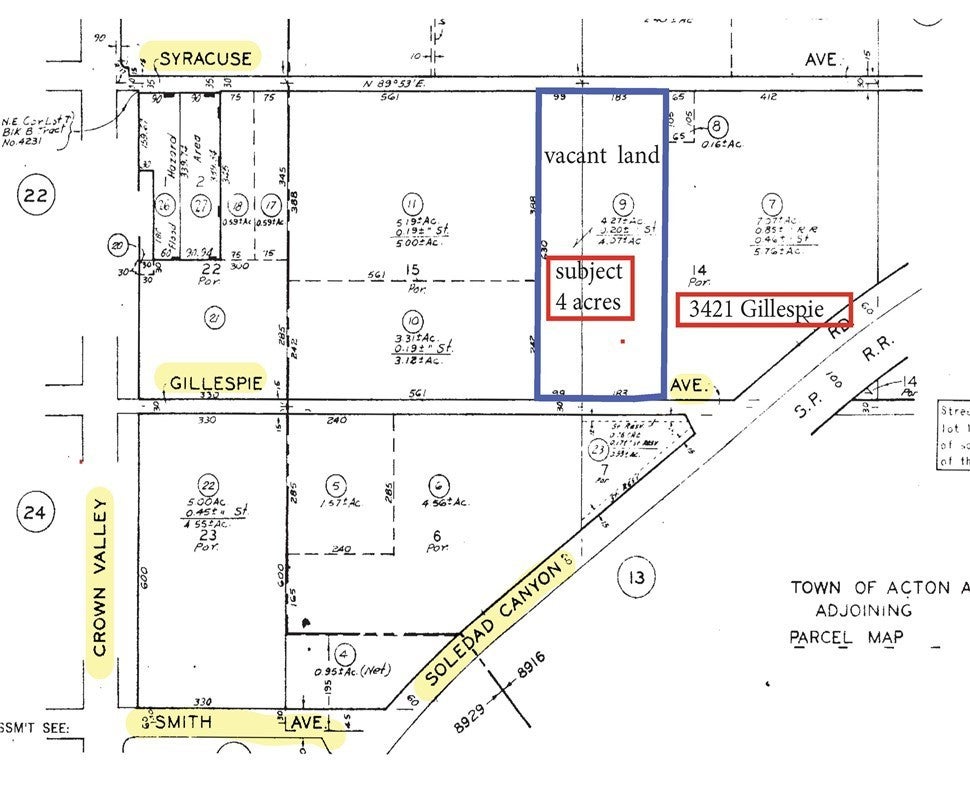
3362 Syracuse Avenue, Acton

$1,395,000

Previous Next

4.27

Acres

About 3362 Syracuse Avenue

Description 4.27 Acres Industrial Acres Available Tough zoning to find in Acton, not too much M1. Lot has easy Ingress / Egress to lot off two paved streets, Gillespie on one side Syracuse on the other. Lot Very Visible from Soledad Canyon Road Topo Is Level to Very Gentle Slope -all useable Zoned M1 Light Industrial (IL) Electric on Property Along with Producing Water Well Very pleasing to the eye piece of Property

Features of 3362 Syracuse Avenue

MLS® # SR25087438
Price $1,395,000
Bathrooms 0.00
Acres 4.27
Type Land
Status Active

Community Information

Address 3362 Syracuse Avenue
Area ACTO - Acton
Subdivision Custom Acton (CACTO)
City Acton
County Los Angeles
Zip Code 93510

Amenities

Utilities Overhead Utilities
View Panoramic
Is Waterfront No
Has Pool No

Interior

Has Basement No
Fireplace No

Exterior

Lot Description Paved, Value In Land

Additional Information

Date Listed April 21st, 2025
Days on Market 187
Zoning M-1 (IL)
Foreclosure No
Short Sale No
RE / Bank Owned No

Listing Details

AgentBob Loner
OfficeRealty Executives SCV

Listing Map

Request a Showing

Provide a valid email address.
When would you like to view this property?